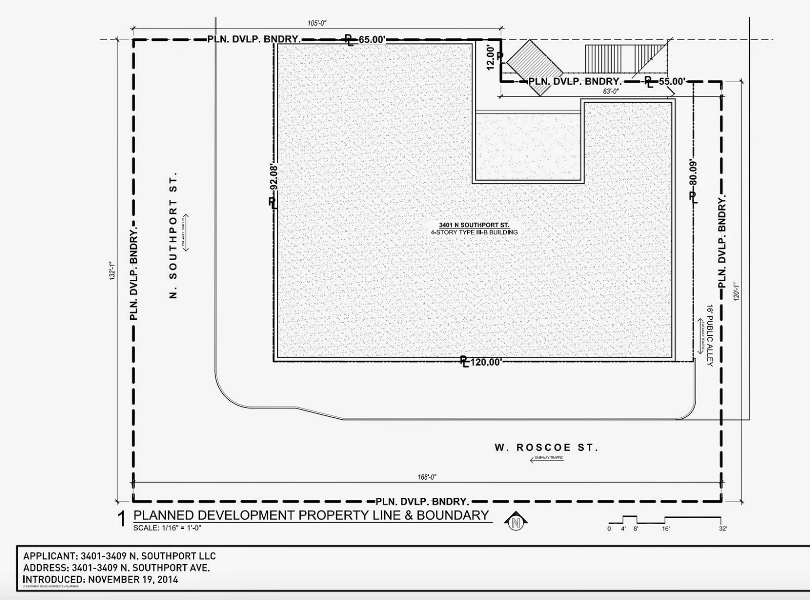
From Tom Tunney’s office, there has been a proposal for the Rise Sushi and Galleria Liquors location to build a new mixed-used Transit Oriented Development (TOD). The proposal would include 30 apartments with ground-level retail next to the Southport “L” line.






This is horrible news.
LikeLike
This is terrible. Why why why would they allow this? The charm of Southport is getting lost in the decisions of money hungry developers. #savesouthport
LikeLike
Neighborhood is nothing like it used to be. Was a community before and now it's just another corporate street in Chicago. Nothing charming about it anymore. Someone needs to stop this madness. Anyone noticing that there are actual real crimes since all thai development??
LikeLike
#savesouthport
LikeLike
Take this development to a 4 lane major street. There are plenty. This development is too large in scale for Southport. #savesouthport
LikeLike
Horrible, horrible, horrible. Who is going to want to live at that corner butting up to the Brown line stop? These greedy corporate investors are KILLING our neighborhood! STOP!
LikeLike
Hey Tunney, why don't you start worrying about the crime rate in this neighborhood rather than selling off everything that's made the area unique to corporate greed?!
LikeLike
In the USA, property owners have the freedom to sell their properties. And property purchasers have the right to develop property they purchase. If posters feel passionately about keeping that space the way it is, they should put their money where their mouth is and buy the property themselves. Otherwise, bemoaning the shame that is corporate greed is all just hot air. How passionately do you all REALLY feel about it? Do you care just enough to talk about it? Or do you care enough to back it up with real money?Plus, it's not the developers who are causing this; it's the residents and businesses who will rent the spaces in the new building. Curse those who will be paying the rent and providing the developers' return on investment. That's the whole reason the developers are doing it. They are only responding to people's demand for apartments and storefronts.
LikeLike
So you think it's acceptable to build ugly buildings, ruin the character of the neighborhood, and outprice everyone already in it and it's OUR fault?!? Screw you and your money!
LikeLike
\”Ruin\” is a matter of perspective. People who live there now have no right to decree who the undesirables are, either businesses or people. This isn't the 1960's. And no one is getting outpriced. On the contrary, more apartment units available will make rent more affordable throughout the whole neighborhood.If Southport corridor residents cared strongly enough about the character of their neighborhood, they'd pool their money and buy the land. The neighborhood has the power to band together and fair-and-squarely beat the real estate investors at their own game, but does it have the will? Probably not. There's only enough will to fill a message board with populist BS. What very likely happened here is that property taxes are too high now to be covered by the rents paid by only two businesses. Betcha the neighborhood, which will apparently be just incurably wrecked by this new building, supports all those businesses that set up shop in the new storefronts. Hopefully Rise will be one of them.
LikeLike
What the heck is Tunney thinking? Stuff like this is why I think I'm gonna vote for Mark Thomas.
LikeLike
Where is the letter from Tunney?
LikeLike
Property owners have rights to develop their property…but that doesn't mean we have to give them a zoning change…We changed the ENTIRE street of Southport years ago to consistent zones so the piecemeal zoning of properties and speculation based on change was stopped. The only changes that have been granted so far have been been exceptions due to odd property lines, and specific uses of property. Southport is completely the wrong place to increase density with 33 units here, 50 there, 25 more there… where does it stop? Ever try driving Southport on on the weekend?
LikeLike
I went to a holiday party here several years ago and fell in love. When I got engaged, we didn't even shop around. It was this place or bust.
LikeLike
Nooo!!! I've been going to Rise for over 10 years! Heartbreak… Lived on this street for a long time & really sad that it became big box store suburbia -esque
LikeLike
Keep \”thinking\”… it's the city as a whole, through it's collective leadership, who instituted the TOD zoning. Nearly everything within 600/1200ft of that brown line stop is fair game. You live in a city, and as such, density is or should be, sought after. If you don't like it, head for the burbs.
LikeLike
So the alderman has the ability to sell off private property? You sound like the mopes threatening to \”force\” tunney to make the mercury theater owner lease the Cullen's bar back to it's poor ownership. None of this is the alderman's job. And all of this is private property. This particular lot, along with most within 1200' of it, are fair game under the city's TOD program… that's the city's program, not the alderman's.
LikeLike
It doesn't matter what you changed years ago… the city has since instituted the TOD program to encourage density, use of public trans, etc. Whether it works or not, the intention is that most people living at this building will not have cars, hence the lower required parking spaces.
LikeLike
This is great news for the community. Keep flourishing Southport Corridor.
LikeLike
33 more cars in the hood. If you can afford to live here, you probably have a car. I am thankful my place has parking.
LikeLike